12-1-2026
SHERBORNE LAKE
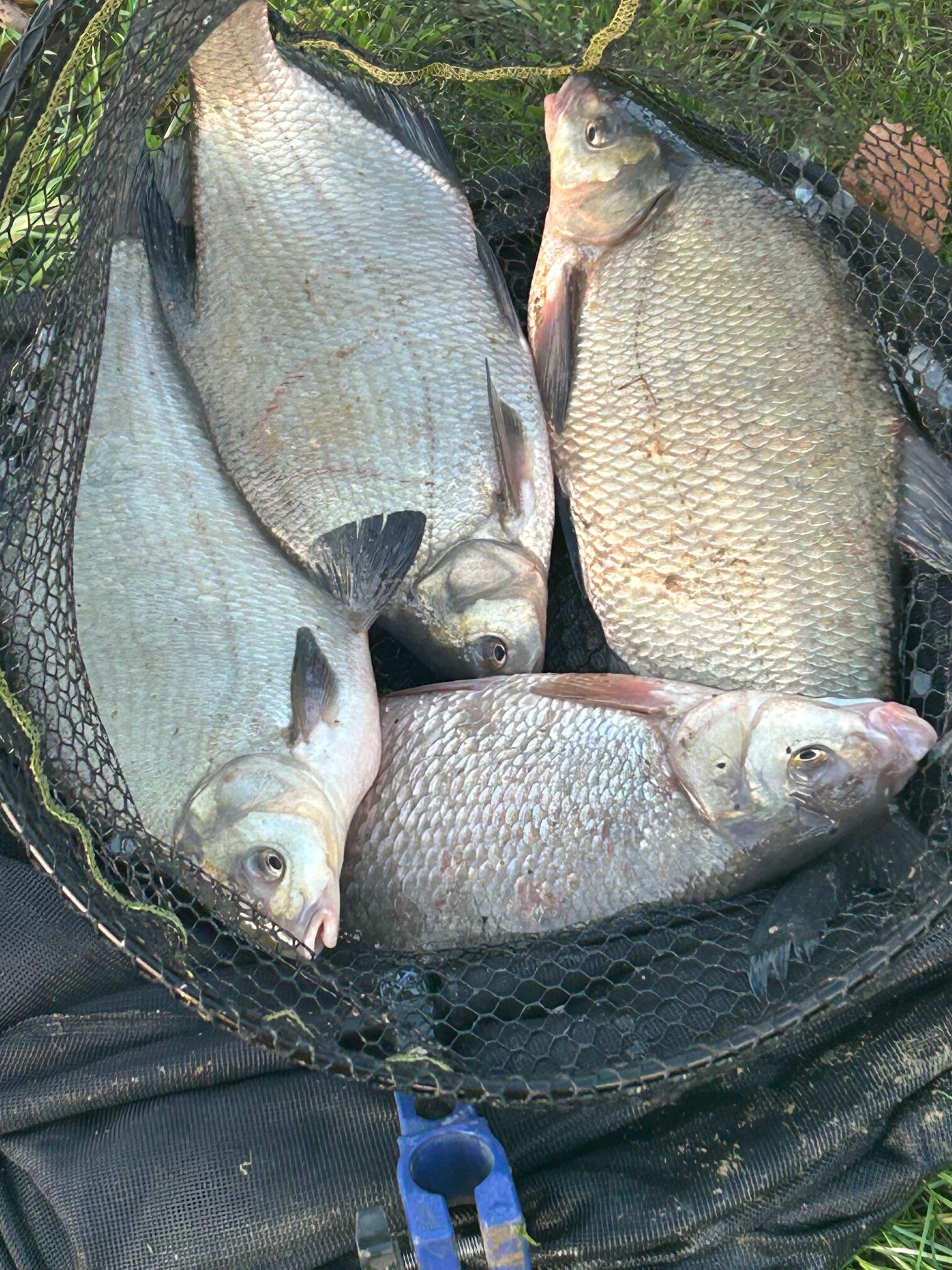
Monday 12th January 7 nice Bream and a Tench were caught on the lake, the fishing had been poor due to the cold weather but as soon as it turns milder and the water colours up the fish start to feed, 4 of the BREAM can be seen above
Many thanks John for the photo
24-2-26 SHERBORNE LAKE
Had 150 fish consisting of Rudd, Roach and Perch from peg 20 on a short whip, had nothing on the feeder
Regards
Geoff
7-3-2026
RIVER YEO ILCHESTER
Hi Gary, here are some photos of the fish i had at ilchester this morning, biggest beam was 4.5lb, biggest chub was 3.5lbs
Kind regards Andy
16-4-2026
Hi Gary
I had an early start today down the islands.
The fish are still being elusive and you have to be patient and hopefully an odd one will turn up.
First bite was a small hybrid which was as rough as sandpaper, obviously getting into spawning mode.
A few skimmers followed before a big hybrid turned up.
Then it was the usual quiet spell trying all sorts to get a bite, eventually a bream pulled the tip around.
A couple more indications before it was time to pack up.
Feeder with worm or maggot was the method.
Hi Gary,
28-4-2026
I know you like to receive catch reports from Sherborne Lake, so here goes
Monday was a beautiful day for sitting in the sun, but not necessarily great for angling, baking hot, flat calm, crystal clear water. After spending most of the day watching my feeder rod doing very little (and seeing a number of anglers pack up and call it a day), I decided to try something else to use up a bit of bait and give me something else to look at. So, I stuck out a 4m whip in the margins, loose fed a few maggots and was rewarded with a lovely 6.11 lb hybrid (pics attached). Interestingly, I bought the whip last year for one of my daughters who wanted to have a go at fishing. It’s a really (really) basic ‘no frills’ set up, no elastic, 3lb hook length to a barbless size 16 hook, twenty quid or thereabouts. This is the second time I have used it, I previously used it at the lake one afternoon last year when sport was similarly slow on the feeder, tactics were the same, loose fed a few maggots in the margins but that time I was rewarded with a 6.5 lb bream. Anyhow, it reminded me of when I started fishing many years ago that you don’t have to have loads of gear, you don’t have to cast far, you don’t have to use complex rigs, you just need some patience (and maybe a little bit of luck now and then).
Cheers
Andy Belben










